Listing Address:
6450 Highway 1 , Grant-Valkaria, FL 32949
Price: $189,000
MLS # 1041825
Property Type: Vacant Land
This property is Active Under Contract. Please contact us for similar properties.
Property Description:
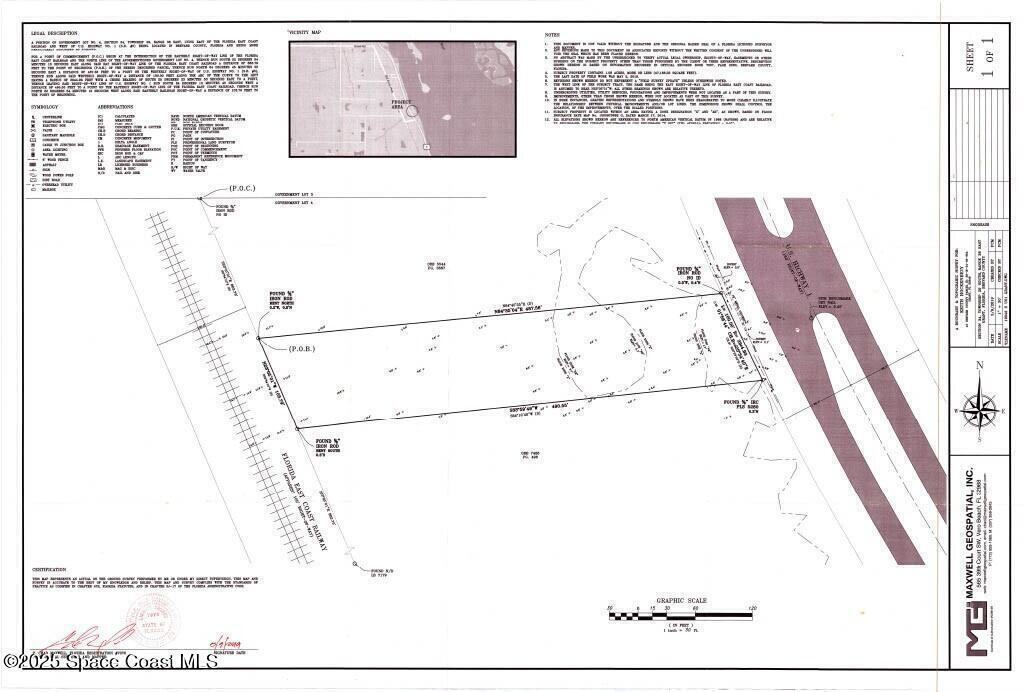
Accepting backups on this 1.08-acre property located in beautiful Grant, FL. Currently zoned commercial BU-1 this vacant land is perfect for a business endeavor, your dream home or as an investment. The charming Grant community is nestled between, and is approximately a 15-minute drive to, both Sebastian and Palm Bay/Melbourne. There are many boat ramps, parks and preserves nearby for your outdoor lifestyle along with many restaurants and shops located within a short drive. Area beaches are within a 30-minute drive as well. This property also has a turn lane for convenience as well as a culvert.
Property Listing Details for 6450 Highway 1 , Grant-Valkaria, FL 32949
Lot Sub-Type
Unimproved Land
Gated?
HOA
HOA Dues
0.00 ()
Utilities
Subdivision
Frontage
Financing
Posession
D. Basile Real Estate, LLC lists and sells Real Estate and Luxury homes in Melbourne Beach, Merritt Island, Cocoa Beach, Lansing Island, Tortoise Island, Barefoot Bay, Cape Canaveral, Cocoa, Grant Valkaria, Indialantic, Indian Harbour Beach, Malabar, Melbourne, Palm Bay, Rockledge, Satellite Beach, Titusville, West Melbourne and surrounding areas in Brevard.
This listing is courtesy of Coldwell Banker Paradise. Property Listing Data contained within the D Basile Real Estate website is the property of Brevard MLS and is provided for consumers looking to purchase real estate. Any other use is prohibited. We are not responsible for errors and omissions on this web site. All information contained herein should be deemed reliable but not guaranteed, all representations are approximate, and individual verification is recommended.
Quick MLS Search
Choose the Area, City, then Type of the property you're looking for

Share us on your network!