Listing Address:
1805 Raintree Avenue, Palm Bay, FL 32909
Price: $48,000
MLS # 1072480
Property Type: Vacant Land
This property is Active. Please contact us for similar properties.
Property Description:
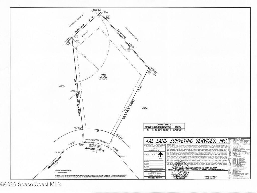
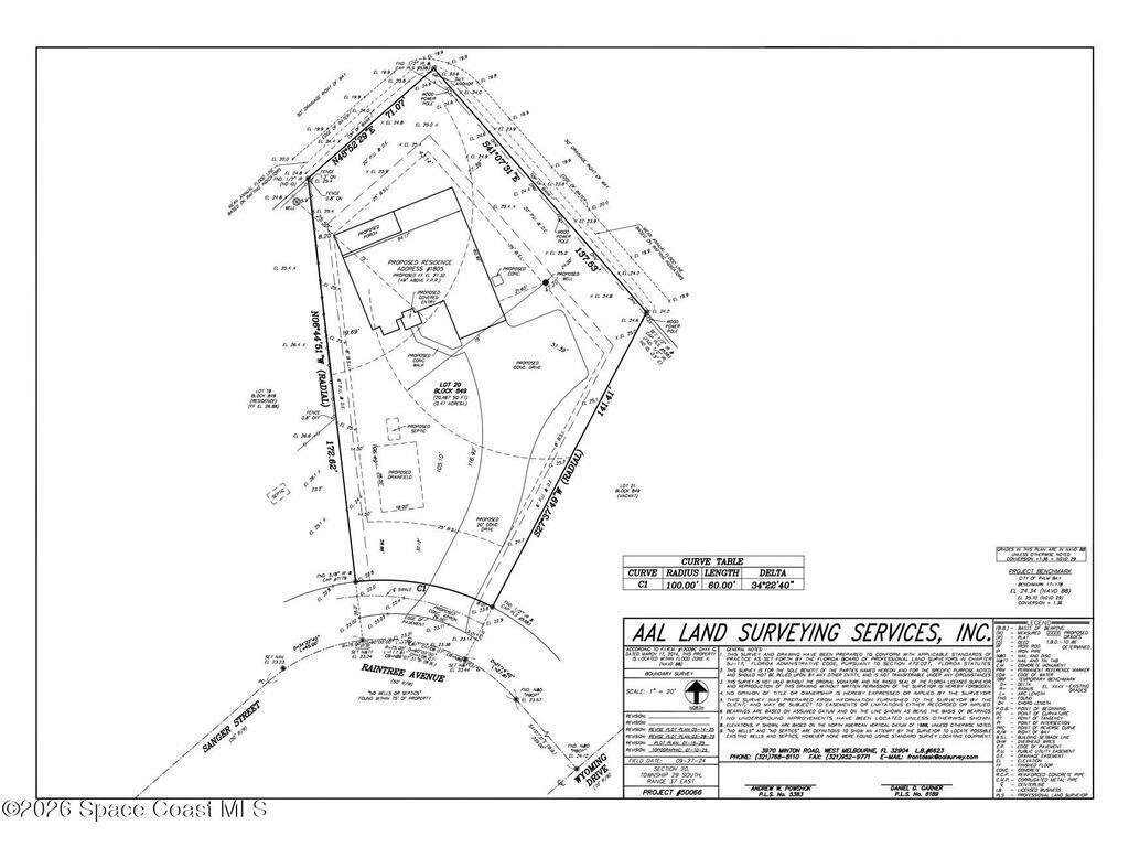
*Competitively Priced ~ Build your dream home on this oversized .38-acre lot in a desirable and growing area of Palm Bay. Uniquely shaped, this property offers an excellent opportunity for a long, extended driveway and a generously sized backyard - see the included site plan for a visual of how a 2,000 sq ft, 4-bedroom home can be positioned on the lot with the septic in the front. Located on a paved road within a developed neighborhood surrounded by newer homes. Enjoy a prime location just 5 minutes from Bayside Lakes Shopping Center, featuring Publix, Starbucks, Walgreens, urgent care, dining, and more. Commuters will appreciate quick access, only 10 minutes to the St. John's Heritage hwy interchange. Nearby schools are just a short drive, adding to the convenience & resale value of this location. A rare opportunity to secure a larger homesite with potential in an established yet expanding area. No HOA. This location is currently designed for well. Please feel free to do a drive-by.
Property Listing Details for 1805 Raintree Avenue, Palm Bay, FL 32909
Lot Sub-Type
Unimproved Land
Gated?
HOA
HOA Dues
0.00 ()
Utilities
Subdivision
Frontage
Financing
Posession
D. Basile Real Estate, LLC lists and sells Real Estate and Luxury homes in Melbourne Beach, Merritt Island, Cocoa Beach, Lansing Island, Tortoise Island, Barefoot Bay, Cape Canaveral, Cocoa, Grant Valkaria, Indialantic, Indian Harbour Beach, Malabar, Melbourne, Palm Bay, Rockledge, Satellite Beach, Titusville, West Melbourne and surrounding areas in Brevard.
This listing is courtesy of Board & Beam Realty , LLC. Property Listing Data contained within the D Basile Real Estate website is the property of Brevard MLS and is provided for consumers looking to purchase real estate. Any other use is prohibited. We are not responsible for errors and omissions on this web site. All information contained herein should be deemed reliable but not guaranteed, all representations are approximate, and individual verification is recommended.
Quick MLS Search
Choose the Area, City, then Type of the property you're looking for

Share us on your network!